Réhabiliter un logement
Réhabiliter un logement

Un séjour + grand

64110 Gelos - Pyrénées Atlantiques - Nouvelle-Aquitaine

BÂTIMENT / LOGEMENT

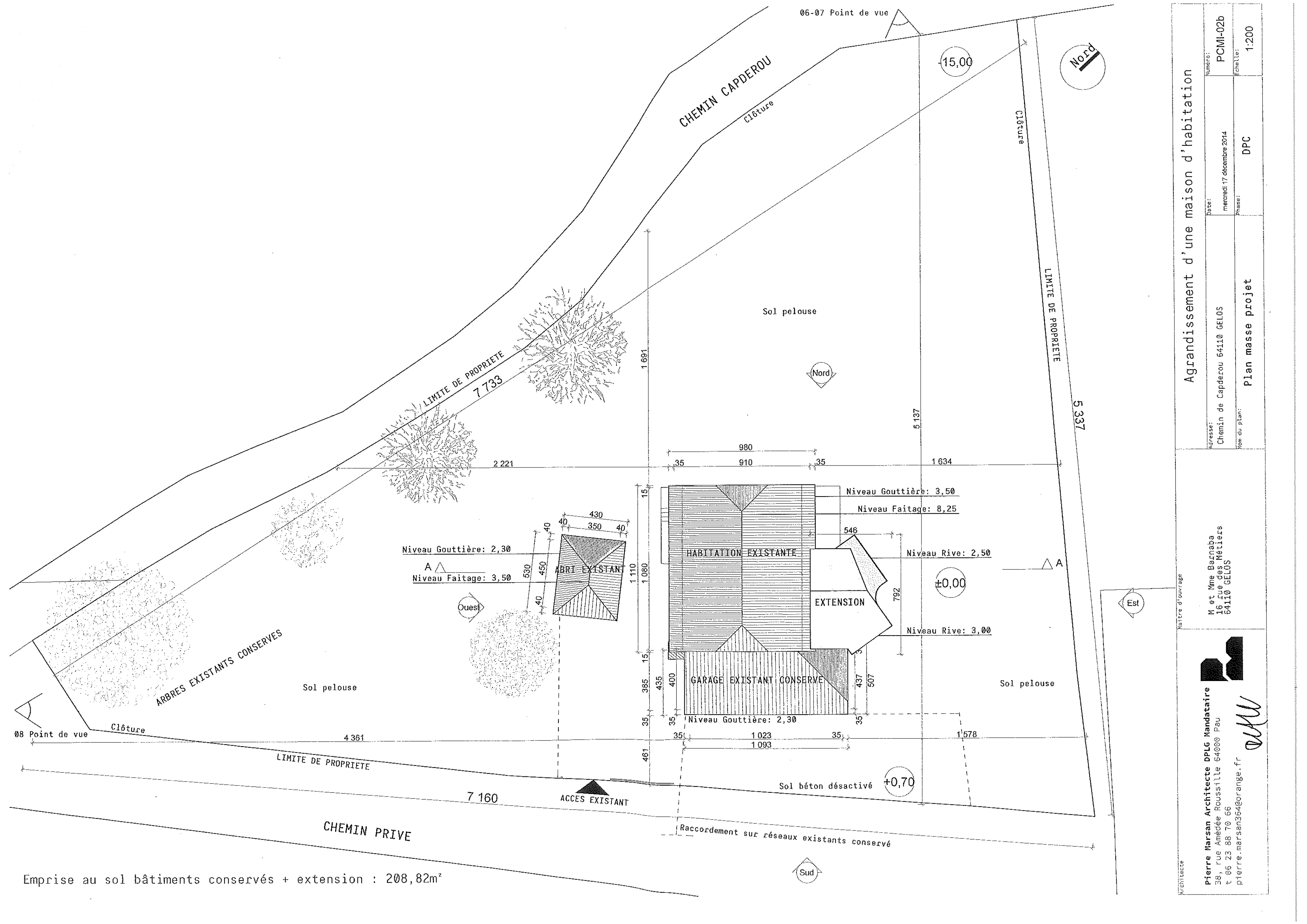
Le terrain de forme triangulaire descend en pente vers sa pointe nord. La maison existante occupe une position centrale. Le volume de l’extension vient agrandir l’espace séjour. Ouvert à l’est sur la vue panoramique des Pyrénées, il capte la luminosité. Ce volume est prolongé au Nord par une fenêtre en épaisseur, ouverte sur le paysage environnant : coteaux boisés, vallée Heureuse et façade urbaine de la ville de Pau. Une paroie courbe accorde les diférentes orientations en protégeant le séjour du vis à vis des vues directes sur les maisons mitoyennes.

Catégorie Bâtiment / logement
Numéro de projet165
Date de candidature02/03/2018

Bâtiment / logement

Détail projet

Typologie de bâtiment : Extension / surélévation
Type de bâtiment : Logement individuel inférieur 120 m²
Année de livraison : 2017
Surface totale du bâtiment en m² : 32
Coût total en € HT (hors foncier, hors VRD, hors honoraires) : 64000
Lot bois n°1 concerné : Charpente bois
Coût du lot bois n°1 - € HT : 40000
Lot bois n°2 concerné : Bardage bois
Bois Français : non

Structure bois du bâtiment

Structure verticale :

ProduitEssenceProvenances (lieu de croissance du bois)Traitements de préservationMarque et certification produit
Panneau ossature boisPin sylvestreNouvelle-AquitaineTraitement Classe 2 (trempage)

Structure horizontale :

ProduitEssenceProvenances (lieu de croissance du bois)Traitements de préservationMarque et certification produit
Solivage traditionnelPin sylvestreNouvelle-AquitaineTraitement Classe 4 (autoclave)

Charpente :

ProduitEssenceProvenances (lieu de croissance du bois)Traitements de préservationMarque et certification produit
Caisson de toiturePin sylvestreNouvelle-AquitaineTraitement Classe 2 (trempage)

Revêtement bois extérieur

Revêtement bois ou dérivés :

ProduitEssenceProvenances (lieu de croissance du bois)Marque et certification produitFinitionTraitements de préservation
Lame bois massifPin maritimeNouvelle-AquitaineSaturateurTraitement Classe 3b (autoclave)

Menuiserie intérieure et extérieure

Isolation des murs

Isolation intérieure des murs :

Produit
Laine de bois souple
Epaisseur (mm) Isolation intérieure des murs : 100

Isolation entre-montant des murs :

Produit
Laine de bois souple
Epaisseur (mm) Isolation entre-montant des murs : 140

Isolation extérieure des murs :

Produit
Fibre de bois (Panneaux)
Epaisseur (mm) Isolation extérieure des murs : 20

Isolation de la toiture

Epaisseur (mm) Isolation intérieure de la toiture : 100
Epaisseur (mm) Isolation entre-montant de la toiture : 200
Epaisseur (mm) Isolation extérieure de la toiture : 50

Approche environnementale : Pour limiter son empreinte sur le terrain, l’extension prend appui sur les éléments maçonnés existants de la terrasse et se prolonge en porte-à-faux sur les espaces végétalisés. La structure des volumes est en ossature bois formant des voiles, désaxés des lignes de construction de la maison, pour s’ouvrir au delà des volumes construits. La couverture est une terrasse végétalisée. Les parois sont habillées de bardage bois.

Descriptif technique : Un système de poutre en console fabrique un second plan dans la façade principale qui permet de porter l’évasement de l’ouverture. La simplicité du volume construit et sa subtile articulation orientée par les éléments remarquables du paysage génèrent l’implantation du projet. La maison est en ossature bois, couverte d'un bardage bois (matériau de récupération), possède une terrasse végétalisée bois et un parquet bois en finition intérieure. Cette construction emploie du bois local (de Nouvelle Aquitaine) et fait appel aux entreprises locales.

Chauffage au Bois : non
Données déclaratives

Acteurs du projet

Maître d'ouvrage (1)

Maître d'ouvrage - Particuliers

particulier (x)

Etudes et ingénieries (1)

Maître d'œuvre - Architecte mandataire

Pierre Marsan architecte DPLG (64)

Entreprises des lots bois (1)

Charpentier

Maisons Services Barnaba (64)




* : L'entreprise n'est plus active
Retour à la liste